2 block section of road set to close tomorrow through Friday
Published 10:00 am Monday, February 20, 2017
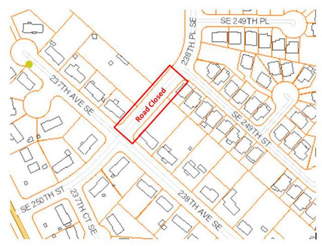
Starting tomorrow, Tuesday, Feb. 21 through Feb. 24 a two block section in Maple Valley will be closed.
The section of road is from SE 250th Street between 237th Ave. SE and SE 249th Street.
This area will be closed due to the installation of a deep sewer mainline in the center of the road, according to a notice from the city.
There is a chance the road may open at 5 p.m. each evening but that is dependant on whether the work zone can be safely protected. If not, the road could remain closed throughout the week.
A detour route will be in place to help guide traffic in that area.
Another closure will be scheduled while a new sewer manhole and pipe is installed to serve the new Malloy Plat Development.
Ongoing work and traffic control will also take place near 238th Place SE while underground phases of the project continue.
For more information contact Tom Bowen, Public Works Construction Inspector for Maple Valley, at 206-391-8160.
